Ons kantoor is lid van Baerz & Co Luxury Homes; een internationaal platform dat exclusieve woningmakelaars met elkaar verbindt. Neem contact op met ons secretariaat voor meer informatie over het landelijke aanbod, waarvan u hieronder een selectie kunt bekijken.

WOUW
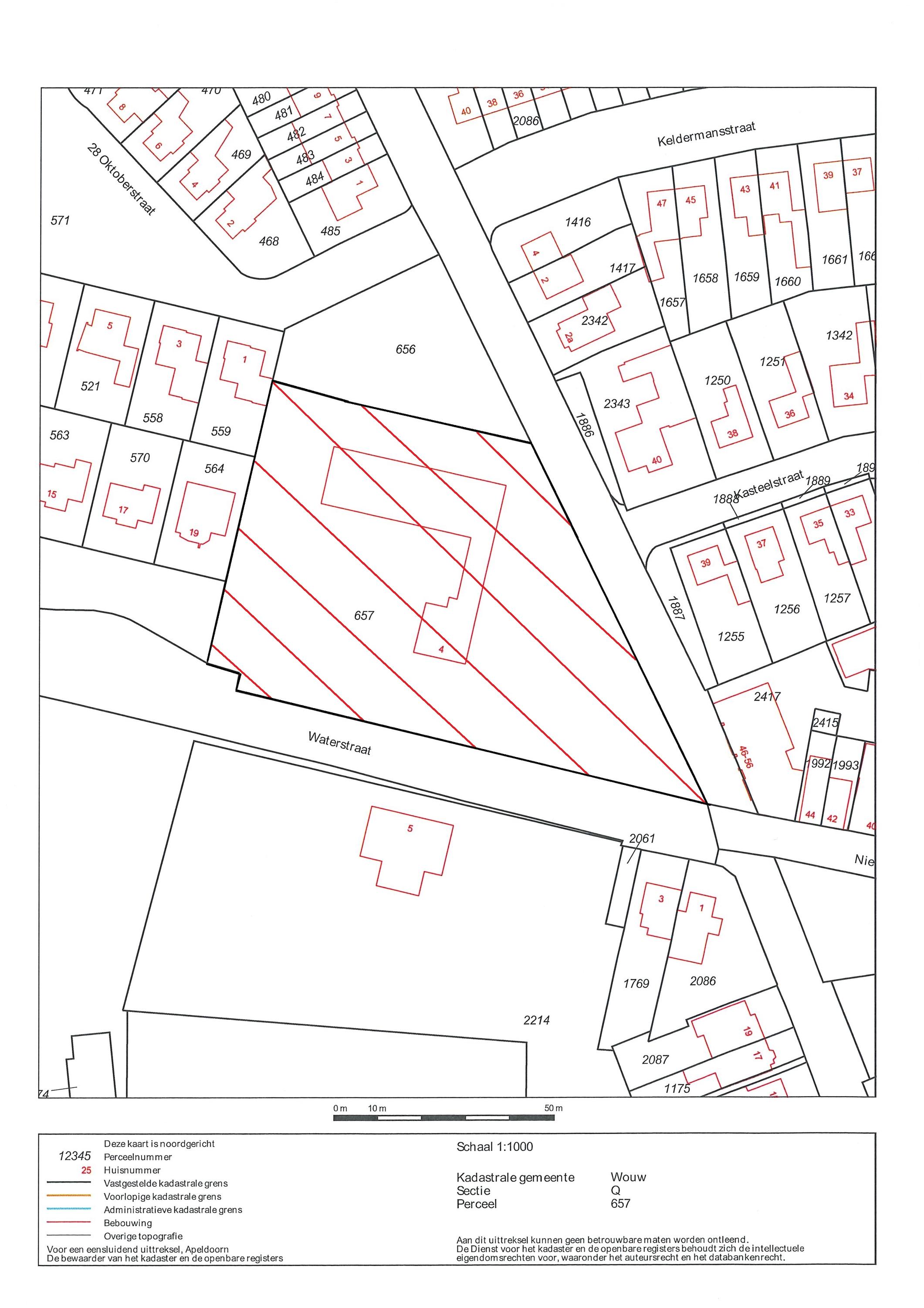
Waterstraat 4 - 4724 BG
هولندا

Erwin Schuurbiers profile image
Erwin Schuurbiers
Makelaar / Taxateur
€1,345,000 k.k.
مساحة المعيشة
320m2
حجم الأرض
6301m2
غرف نوم
4

الوصف

Uniek aan de rand van Wouw en het buitengebied gelegen monumentale, geheel gerenoveerde, herenboerderij met een prachtig aangelegde landschapstuin, diverse garages en stallingsruimten en een prachtig overdekt zwembad met een ontspanningsruimte.

Het object met zijn eigen kenmerkende charme heeft een gemoedelijke sfeer. Het oorspronkelijke bouwjaar is omstreeks 1900. In het jaar 2000 is het gehele object grondig gerenoveerd met behoud van alle authentieke details en in 2004 zijn het voegwerk, de daken en het voegwerk van de bijgebouwen vervangen.

In mei 2020 is het verwarmingssysteem omgebouwd naar een pelletketel systeem waardoor het object gasloos te verwarmen is. Tevens zijn er in september 2020 maar liefst 44 zonnepanelen aangebracht met een rendement van 16.000 KwH per jaar! Kortom: Een unieke woonbeleving, hoogwaardige klasse en bovenal energiezuinig.

De boerderij is o.a. voorzien van een riante hal/entree, sfeervolle werkkamer, imposante woonkamer en-suite met originele schouwpartijen, schuifdeuren en een rijk bewerkt plafond. De opkamer is verbouwd tot speel/TV-kamer. De keuken is voorzien van een uitgebreide PoggenPohl inbouwkeuken met alle denkbare apparatuur en een fraai AGA fornuis. In de aanbouw bevindt zich tevens een badkamer, was- en strijkruimte en een riante gastenkamer op de verdieping.

De verdieping van de hoofdbouw is voorzien van 3 riante slaapkamers, een luxe badkamer en-suite en een 2e badkamer voor de kinderen.

Het fraaie bijgebouw is voorzien van een ontspannings- en wellnessruimte met een bar, overdekt zwembad, sauna, was- en douchegelegenheid, fitness-ruimte, 3 royale garages en een berging.

De prachtig aangelegde landschapstuin is onder architectuur aangelegd, biedt veel privacy, is geheel omheind en is voorzien van een royaal erf met voldoende parkeergelegenheid.

Dit unieke object is voor veel doeleinden geschikt o.a. Bed en Breakfast, aan huis gebonden beroep in combinatie met kantoor, aanleunwoning, enz.

Het object is aangewezen als Rijksmonument. Voor onderhoud geldt een fiscaal gunstige regeling. Deze kosten zijn grotendeels aftrekbaar. Zie voor meer informatie www.monumenten.nl.

INDELING:
Begane grond:
Hal/entree voorzien van een authentieke lambrisering en granieten vloer, authentiek bewerkt plafond;

speel/TV/opkamer met een kastenwand, wandafwerking stucwerk, eiken planken vloer, plafond afgewerkt met stucwerk;

gewelvenkelder met stahoogte;

imposante woonkamer en-suite (ca. 50 m²) voorzien van glas-in-lood deuren, inbouwkasten en dubbele marmeren schouwpartijen met een inbouw gashaard en inbouw houtkachel, wandafwerking stucwerk, eiken planken vloer, prachtig authentiek plafond voorzien van sierlijsten en ornamenten;

werkkamer (ca. 18 m²) met een schouwpartij, wandafwerking stucwerk, parketvloer, authentiek plafond;

modern betegeld toilet met een toiletmeubel;

achter portaal met deur naar tuin/terras;

dichte woonkeuken, waarin geplaatst een moderne en uitgebreide hoekopgestelde PoggenPohl inbouwkeuken met Gaggenau apparatuur, voorzien van een granieten aanrechtblad met een spoelbak, AGA fornuis met 3 ovens, inbouw -wokbrander, -friteuse, -grilplaat, -vaatwasser, afzuigschouw alsmede een vaste kastenwand voorzien van een inbouw wijnklimaatkast met 3 zones, -koeler, -vriezer, -water/ijsdispenser en een -koffiemachine, wand-afwerking spuitwerk, hardstenen vloer, plafond afgewerkt met stucwerk;
kelder met stahoogte;

hal;

betegelde badkamer, voorzien van een wandcloset, ligbad, wastafel en douche;

achter portaal, wandafwerking stucwerk, hardstenen vloer, balkenplafond;

meterkast met een uitgebreide installatie;

betegelde wasruimte met wasmachine-/droger aansluiting.

1e verdieping:
Overloop met een glazen dakopbouw;

hoofdslaapkamer voor (ca. 40 m² incl. badkamer en-suite), wandafwerking stucwerk, vloer afgewerkt met tapijt, plafond afgewerkt met stucwerk;

moderne en luxe betegelde badkamer en-suite, voorzien van een rond ligbad, wandcloset, dubbele glazen design wastafels, stoom/douchecabine en een inloopkast;

slaapkamer (ca. 19 m²) met dakkapel, wandafwerking stucwerk, vloer afgewerkt met tapijt, plafond afgewerkt met stucwerk voorzien van inbouwspots;

slaapkamer (ca. 21 m²) met een dakkapel, wandafwerking stucwerk, vloer afgewerkt met tapijt, plafond afgewerkt met stucwerk voorzien van inbouwspots;

betegelde badkamer, voorzien van een badkamermeubel met dubbele wastafel, wandcloset, inloopdouche en designradiator.

1e verdieping aanbouw:
Logeerruimte (ca. 25 m²) met 4 Velux dakramen, houten vloer, dakbeschot in het zicht;

zolderruimte.

Ontspanning en relaxruimte:
Entree, wandafwerking stucwerk, tegelvloer, gewelvenplafond;

ontspanningsruimte met een complete barinrichting, wandafwerking stucwerk, tegelvloer, gewelvenplafond;

overdekt en verwarmd zwembad, (afm. ca. 10 x 5 meter, diepte van ca. 1,20 tot 2 meter), wandafwerking schuurwerk met een tegelvloer, plafond afgewerkt met stucwerk, schuifpui naar tuin/terras;

inloopdouche;

6-persoon sauna;

wasruimte;

zonnebankruimte;

modern betegeld toilet met wandcloset;

technische ruimte met filterinstallatie en verwarmingsunit.

Bijgebouwen:
Dubbele garage voorzien van elektra, krachtstroom, elektrisch bedienbare dubbele houten garagedeuren en 3 loopdeuren;

2 enkele garages;

Berging;

Optioneel vrijstaand gastenverblijf, zolang nog aanwezig (ter overname is bespreekbaar), vv. een 2-tal badkamers met toilet, een 2-tal slaapkamers en een keukeninrichting.

Tuin:
Erf verhard met authentieke kasteelkeien en paden met Dolomiet;

prachtig aangelegde landschapstuin voorzien van diverse terrassen verhard met granieten tegels, borders en gazon voorzien van diverse tuinkamers;

fraaie veranda voorzien van een open haard en een berging;

beregeningsinstallatie voorzien van een eigen waterbron;

rondom afgezet met een hekwerk en voorzien van een dubbele op afstand bedienbare sierhekwerkpoort met een videofoon.

Bouwaard:
Herenboerderij:
Traditioneel gebouwd, opgetrokken in anderhalfsteens metselbaksteen, begane grondvloer beton- en houten vloer, houten verdiepingsvloer, onderschoten kap gedekt met leien.

Bijgebouw:
Traditioneel gebouwd, opgetrokken in metselbaksteen voorzien van een betonvloer en gedekt met golfplaten (asbestvrij).

Isolatie:
De woning is voorzien van isolerende beglazing, dak en de vloer de hoofdbouw zijn geïsoleerd en de bouwmuren op de verdieping van de hoofdbouw zijn geïsoleerd.
Het bijgebouw is voorzien van vloer-, dakisolatie, isolerende beglazing en de bouwmuren van de ontspanningsruimte en het plafond zijn geïsoleerd. Tevens zijn gedeeltelijk elektrisch bedienbare rolluiken aanwezig.

Verwarming en warmwatervoorziening:
De woning is voorzien van centrale verwarming. Het pelletketel systeem is geplaatst in het schuur/garagegedeelte (bouwjaar mei 2020). Het overdekte zwembad met de bijbehorende ruimten is voorzien van vloerverwarming.

Het pand is sinds september 2020 uitgevoerd met 44 zonnepanelen met een jaaropbrengst van ca. 16000 KwH waardoor uw energiekosten erg laag zullen zijn.

الميزات

حمام سباحة
نقل الملكية
السعر المطلوب
€ 1.345.000 k.k.
الحالة
beschikbaar
القبول
in overleg
البناء
نوع المنزل
Woonboerderij
نوع المبنى
vrijstaande woning
فترة البناء
1900
نوع السقف
zadeldak
غرف نوم
4
حمامات
2
المساحات السطحية والحجم
مساحة المعيشة
320 m2
مساحة داخلية أخرى
0 m2
الحجم بالمتر المكعب
1300 m3
حجم الأرض
6301 m2
المرافق
Mechanische ventilatie
Rolluiken
Zwembad
Stoomcabine
Dakraam
Sauna
Buiten bebouwde kom
Baerz & Co Property Brochure

كتيب

فيديوهات

مخططات الطوابق

Helmig Makelaardij en Taxatieburo o.z. B.V.

Dorpsstraat 107
4661 HN Halsteren

info@helmigmakelaardij.nl
+31 164-685925

www.helmigmakelaardij.nl

طلب معلومات / مشاهدة

Erwin Schuurbiers profile image
Erwin Schuurbiers
Makelaar / Taxateur

شراء عقار فاخر في Wouw

وو تقدم مزيجاً فريداً من الرقي المعماري والحياة المجتمعية والرفاهية. أجواؤها الهادئة وخدماتها المختارة تخلق نمط حياة دولي متوازن يجذب المشترين والعائلات المميزين.