Ons kantoor is lid van Baerz & Co Luxury Homes; een internationaal platform dat exclusieve woningmakelaars met elkaar verbindt. Neem contact op met ons secretariaat voor meer informatie over het landelijke aanbod, waarvan u hieronder een selectie kunt bekijken.

BERGEN OP ZOOM
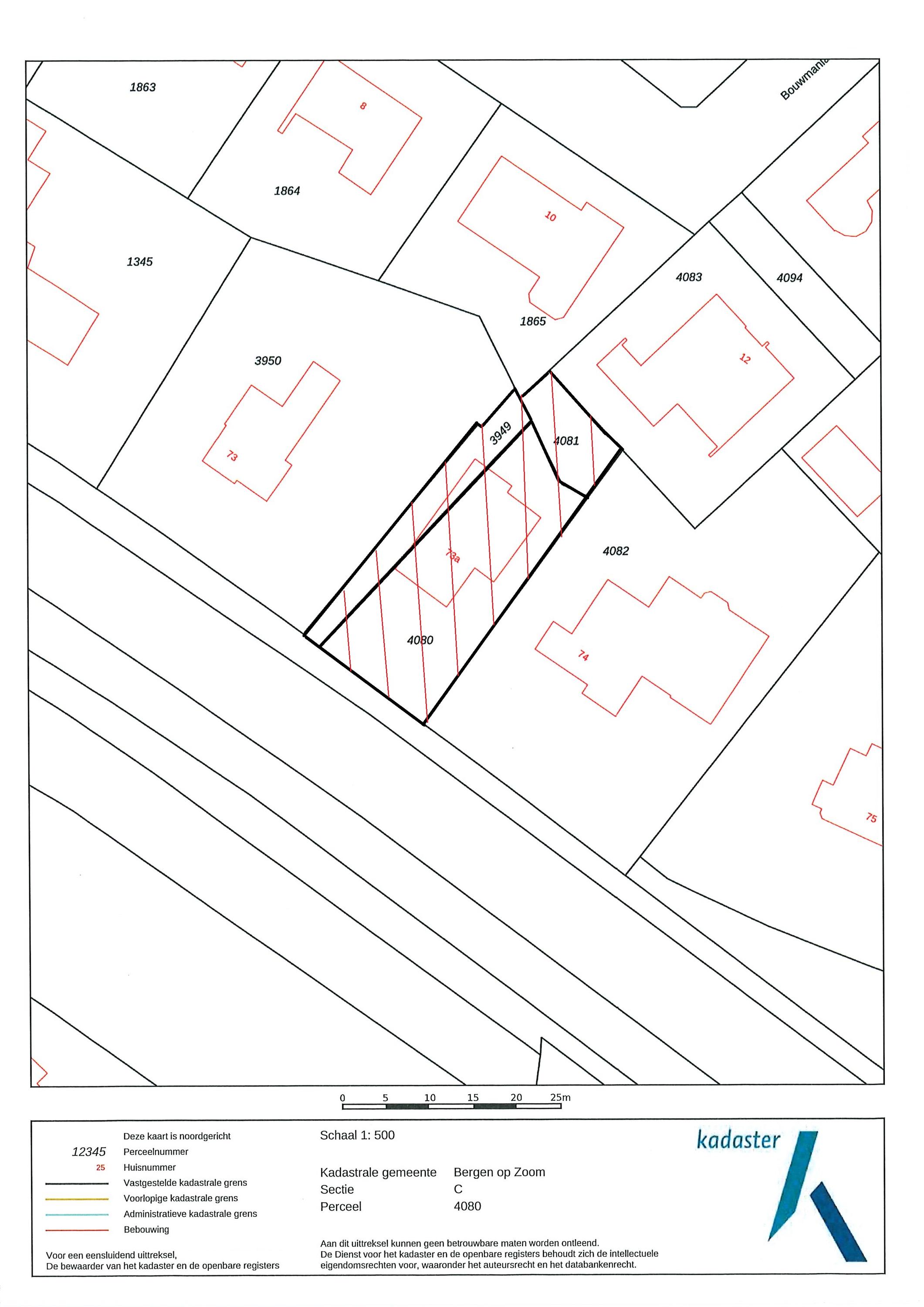
Noordzijde Zoom 73 a - 4614 AE
Nederland

Erwin Schuurbiers profile image
Erwin Schuurbiers
Makelaar / Taxateur
€1.075.000 k.k.
Woonoppervlakte
301m2
Perceeloppervlakte
612m2
Slaapkamers
5

Omschrijving

Deze exclusieve en tevens ruime villa is gelegen op een chique locatie met hoogwaardige allure, in een rustige doorlopende straat, en dat alles op loopafstand van het historisch stadscentrum. Zo heeft u het beste van twee werelden binnen handbereik: Rust, privacy en luxe met alle daarbij horende voorzieningen als winkels, gezellige horeca, etc.

Het object is nog vrij recent van bouwjaar (1999) waardoor alle vormen van isolatie aanwezig zijn, een groen energielabel B present is en waarbij ook nog de aansluiting op het collectief zonnepark opgeteld mag worden waardoor het verbruik nog groener is. Bij het ontwerp is rekening gehouden met de sfeer in de straat waarbij een knipoog is gegeven naar de smaakvolle jaren ’30 met een bijhorende rieten dakafwerking hetgeen de charme een enorme boost geeft.

Omdat de wens aanwezig was voor een royale leefruimte met voldoende slaapkamers voor het voltallige gezin in combinatie met mogelijkheden voor werk of hobby’s aan huis is gekozen voor een souterrain onder de volledige woning. Zo woont u heerlijk ruim en biedt het object vele extra’s als een inpandige garage, een kantoor-/praktijkruimte-/sportruimte met daglicht, separate wijnkelder, archief-/opslagruimte en mogelijkheden voor een zelfstandige toegang. Het woongedeelte op de begane grond biedt u vervolgens een gezellige sfeer met een living welke overloopt in het eetgedeelte aan de achterzijde waarna u de half gesloten keuken met separate bijkeuken treft. Ook op de begane grond is een kantoorruimte voorzien voor de eventuele thuiswerker of wellicht gebruikt u de ruimte als extra slaapkamer.

De tuin is beschut gelegen waarbij direct aansluitend achter de woonkamer een terras aanwezig is voor de gezellige uren. Via een trap bereikt u het groene deel van de tuin welke volledig omheind is en waar vandaan u de woning rondom kan bereiken. Het geheel is groen omheind en aan de voorzijde voorzien van een elektrische poort en deurbelinstallatie.

Wat ons betreft heeft dit object veel te bieden en maakt de locatie het object zelfs meer dan uniek. Wilt u graag een nog betere indruk!? Laat het ons weten en we plannen graag een bezichtiging met u ter plaatse!

In collegiale verkoop met Via Ons Makelaardij te Bergen op Zoom

INDELING:
Begane grond:
Hal/entree voorzien van een intercom met camerafunctie t.b.v. de poort aan voorzijde, alarmsysteem en een garderobehoek, wandafwerking stucwerk, massief eiken houtenvloer, plafond afgewerkt met spuitwerk;

uitgebreide meterkastinstallatie met 12 groepen, 3 aardlekschakelaars, alarminstallatie met 3 levels en glasvezelinternet;

betegeld toilet met een wandcloset en een fonteintje;

ruime living met zit- en eetkamer (ca. 55 m² incl. eetkamer), voorzien van een marmeren schouwpartij met een open haard, wandafwerking stucwerk, massief eiken houtenvloer (vm. kazernevloer), plafond afgewerkt met spuitwerk, 2-tal tuindeuren naar het terras/tuin;

woonkeuken waarin geplaatst een in hoek opgestelde inbouwkeuken, voorzien van een granieten aanrechtblad met een dubbele spoelbak, RVS-fornuis vv. 5-pits inductiekookplaat met 2-tal ovens, inbouw -koeler, -magnetron, -vaatwasser en een afzuigkap, wandafwerking tegels en stucwerk, tegelvloer, plafond afgewerkt met spuitwerk vv. inbouwspots;

bijkeuken met keukenblok vv. inbouwkoeler en een spoelbak, wandafwerking tegels en stucwerk, tegelvloer, plafond afgewerkt met spuitwerk;

kantoor-/slaap-/werkkamer rechts voor (ca. 15 m²), wandafwerking stucwerk, massief eikenhouten vloer, plafond afgewerkt met spuitwerk;

vanuit de hal een trap naar het souterrain en de 1e verdieping.

Souterrain:
Hal/portaal met een vaste trap naar de begane grond, wandafwerking stucwerk, tegelvloer, plafond afgewerkt met spuitwerk;

inpandige garage (ca. 35,5 m²) met een brede / elektrische sectiedeur en een drain met pompput (vv. reservepomp), wandafwerking stucwerk, tegelvloer, plafond afgewerkt met spuitwerk;

werkruimte / gym / extra slaapkamer / hobbyruimte (ca. 39,5 m²) met voldoende daglichttoetreding en internetaansluitingen, wandafwerking stucwerk, tegelvloer, plafond afgewerkt met spuitwerk;

royale bergruimte / gym linksachter (ca. 28 m²), wandafwerking stucwerk, tegelvloer, plafond afgewerkt met spuitwerk;

separate (wijn)kelder, wandafwerking stucwerk, tegelvloer, plafond afgewerkt met spuitwerk.

1e verdieping:
Overloop, wandafwerking stucwerk, grenen planken vloer, plafond afgewerkt met gipsplaten;

hoofdslaapkamer voorzijde (ca. 29 m²) met inbouwschuifkasten en een dakkapel, wandafwerking stucwerk, grenen planken vloer, dakbeschot in het zicht;

badkamer en-suite t.b.v. de hoofdslaapkamer, voorzien van een ligbad, inloopdouche (2023), wandcloset, dubbele wastafel, designradiator en een dakkapel;

waskamer rechtsvoor, met wasmachine-/drogeraansluiting, wandafwerking structuurverf, tegelvloer, dakbeschot in het zicht;

slaapkamer rechts midden, met een wastafel en een dakkapel wandafwerking structuurverf, grenen planken vloer, plafond afgewerkt met gipsplaten;

slaapkamer rechtsachter, met een inbouwkast en een dakkapel, wandafwerking structuurverf, grenen planken vloer, plafond afgewerkt met gipsplaten;

slaapkamer linksachter, met een inbouwkast en een dakkapel, wandafwerking structuurverf, grenen planken vloer, plafond afgewerkt met gipsplaten;

2e badkamer, betegeld en voorzien van een ligbad, inloopdouche, wandcloset, dubbele wastafel, designradiator en een dakkapel;

vanuit de overloop een vlizotrap naar de 2e verdieping/bergzolder.

2e verdieping:
Open bergzolder met opstelplaats HR-combiketel vv. separate boiler, houten draagvloer in het zicht, geïsoleerde dakplaten in het zicht.

Tuin:
Aangelegde tuin, rondom omheind met groen en hekwerken, terras bestraat met sierbestrating, voorzien van borders, grindborders t.b.v. HWA, gazon, tuinverlichting, buitenkraan, zij-uitgang en een verhoogd terras direct achter de woonkamer.

Bouwaard:
Woonhuis:
Traditioneel gebouwd in spouw, opgetrokken in metselbaksteen, begane grondvloer, 1e verdiepingsvloer en souterrain uitgevoerd in beton, 2e verdiepingsvloer uitgevoerd in hout, onderschoten kap gedekt met riet.

Isolatie en energie:
De woning is voorzien van vloer-, spouwmuur- en dakisolatie alsmede van isolerende beglazing in hardhouten kozijnen. Optioneel bestaat de mogelijkheid om de huidige aansluiting op het zonnepark van ‘Bergen op Zoom Energie coöperatie’ over te nemen waardoor u per direct beschikt over 9 zonnepanelen welke zijn geplaatst op het dak van de Gemeentewerf.

Verwarming en warmwatervoorziening:
De woning is voorzien van centrale verwarming. De HR-combiketel (fabricaat Remeha Quinta Pro, bouwjaar 2016), is geplaatst op de 2e verdieping en voorziet tevens in warmwater. De begane grondvloer is tevens voorzien van vloerverwarming.

Kenmerken

Zonnepanelen
Alarm system
Overdracht
Vraagprijs
€ 1.075.000 k.k.
Status
beschikbaar
Aanvaarding
in overleg
Bouw
Soort woonhuis
Villa
Soort bouw
vrijstaande woning
Bouwjaar
1999
Energieklasse
B
Soort dak
zadeldak
Slaapkamers
5
Badkamers
2
Oppervlakten en inhoud
Woonoppervlakte
301 m2
Overige inpandige ruimte
48 m2
Gebouwgebonden buitenruimte
9 m2
Inhoud
1293 m3
Perceeloppervlakte
612 m2
faciliteiten
Alarminstallatie
Glasvezel kabel
Zonnepanelen
In centrum
Baerz & Co Property Brochure

Brochure

Video’s

Plattegronden

Helmig Makelaardij en Taxatieburo o.z. B.V.

Dorpsstraat 107
4661 HN Halsteren

info@helmigmakelaardij.nl
+31 164-685925

www.helmigmakelaardij.nl

Informatie / bezichtigingsaanvraag

Erwin Schuurbiers profile image
Erwin Schuurbiers
Makelaar / Taxateur